TPHCM muốn thu ngàn tỷ từ đấu giá khu đất gần 3ha
UBND TPHCM vừa thông báo công khai việc lựa chọn nhà đầu tư đề xuất dự án đối với khu đất rộng hơn 2,92 ha cùng tài sản gắn liền với đất, tọa lạc tại phường Vũng Tàu .
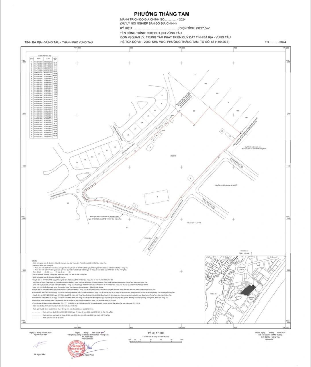
Khu đất có phía Tây Bắc giáp đường Nguyễn Biểu (lộ giới quy hoạch 21m), phía Đông Bắc giáp cao ốc Sơn Thịnh, phía Đông Nam giáp đường Sư Vạn Hạnh (lộ giới quy hoạch 13m), phía Tây Nam giáp đường Xuân Hương (Lộ giới quy hoạch 14m).

Sơ đồ, vị trí khu đất sắp đấu giá ở phường Vũng Tàu .
Khu đất rộng hơn 2,92 ha là loại đất thương mại, dịch vụ đang do Chi nhánh Trung tâm Phát triển quỹ đất khu vực Bà Rịa - Vũng Tàu quản lý. Hình thức cho thuê đất là cho thuê đất trả tiền một lần cho cả thời gian thuê. Thời hạn sử dụng đất 50 năm, kể từ ngày ký quyết định cho thuê đất.
Giá tính tiền thuê đất và tài sản gắn liền với đất được phê duyệt là 1.064 tỷ đồng. Đây là giá khởi điểm để tổ chức đấu giá quyền sử dụng đất theo quyết định 3509/QĐ-UBND ngày 26/12/2024 của UBND tỉnh Bà Rịa - Vũng Tàu trước đây.
Các tổ chức có nhu cầu thuê quyền sử dụng khu đất cùng tài sản gắn liền tại khu đất nói trên có thể nộp hồ sơ tại UBND TPHCM (số 86 Lê Thánh Tôn, phường Sài Gòn hoặc Sở Nông nghiệp và Môi trường TPHCM ở số 1 Phạm Văn Đồng, phường Bà Rịa).
Trước đây, khu đất này là chợ du lịch cũ, có vị trí đắc địa khi tọa lạc ngay trung tâm khu vực Bãi Sau, xung quanh là các khách sạn và khu vui chơi giải trí.
Năm 2012, khu đất trên được UBND tỉnh Bà Rịa - Vũng Tàu (trước đây) cho Công ty CP Khoa học công nghệ Việt Nam (Busadco) thuê để làm chợ du lịch Vũng Tàu . Sau đó, UBND tỉnh Bà Rịa - Vũng Tàu sắp xếp lại, xử lý nhà, đất thuộc sở hữu Nhà nước của Busadco. Đến tháng 2/2020, UBND tỉnh Bà Rịa - Vũng Tàu ra quyết định thu hồi khu đất, giao cho Trung tâm Phát triển quỹ đất tỉnh quản lý.
Hồi tháng 2 năm nay, khu đất này từng được thông báo về giá bán đấu giá. Giá khởi điểm được công bố hơn 1.000 tỷ đồng, bao gồm giá trị tài sản trên đất hơn 10 tỷ đồng. Hình thức đấu giá cho thuê đất thu tiền một lần cho cả thời gian sử dụng 50 năm. Người đấu giá phải đặt cọc hơn 212 tỷ đồng.

Bên trong khu đất sắp đấu giá. Ảnh: NLĐ.
Tại quyết định 3587/2024, UBND tỉnh Bà Rịa - Vũng Tàu đã chấp thuận chủ trương đầu tư dự án Khu thương mại dịch vụ du lịch cao cấp tại khu đất 29.297m2 nói trên, hình thức lựa chọn nhà đầu tư là đấu giá quyền sử dụng đất theo quy định pháp luật về đất đai.
Khu đất được quy hoạch gồm 3 khu chức năng chính là đất công trình dịch vụ, với diện tích khoảng hơn 28.887 m2; đất cây xanh với diện tích khoảng 264,7 m2 và đất công trình hạ tầng kỹ thuật với diện tích khoảng 245 m2. Mật độ xây dựng toàn khu khoảng 40%, được giới hạn bởi 33 tầng cao.
Mục tiêu của khu đất là xây dựng khu trung tâm thương mại đẳng cấp, dịch vụ đa dạng, hiện đại, kiến trúc độc đáo; mang đến cho du khách trong và ngoài nước tận hưởng một khu thương mại, mua sắm, nghỉ dưỡng cao cấp. Tổng mức đầu tư thực hiện dự án hơn 6.821 tỷ đồng.